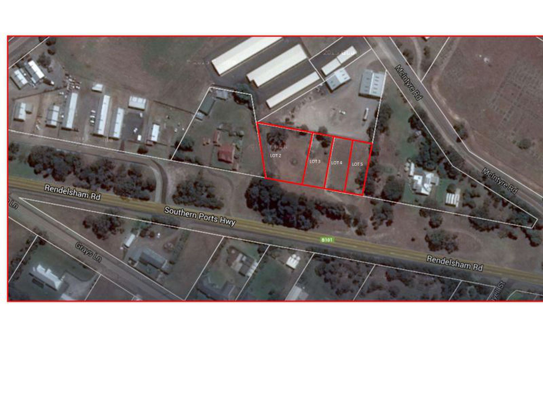
Industrial land on Rendelsham Road [or known as Southern Ports highway arterial to coastal townships
Possible Non Compliance application for Residential building. Subject to Council and DAP approvals!
Lot 2: Approx 2063m2
Lot 3: Approx 1013m2
Unequipped bore and disconnected power box on east boundary.
Lot 4: Approx 1013m2
Unequipped bore and disconnected power box on west boundary.
Lot 5: Approx 1013m2































